28 on wish list
Talented XXL Pony with great potential
€16.500
~ $17.573
Ad ID: 4769912
Ad type: Horse for sale
Online since: 05.03.2026
Ad views: 2366
Message
I'm interested – contact me
Wish list
suitable for beginners
is broken-in
is lunged
is worked on the ground
is allrounder
is easy to load
vet-check
Stands for the farrier
Directly from the breeder
Description
English
-
German
-
Spanish
-
French
-
Italian
-
Dutch
-
Polish
-
English
Zum Verkauf steht ein vielversprechender Deutscher Reitpony-Wallach genannt Dancing Fire, abstammend von Dance Star At und geboren im Jahr 2021. Dieser charmante Fuchs besticht durch sein elegantes Erscheinungsbild und sein angenehmes Temperament. Mit einem Stockmaß von 152 cm ist er perfekt für den ambitionierten Freizeitreiter oder den aufstrebenden Turnierreiter geeignet. Der Wallach zeigt bereits gute Ansätze in der Dressur und überzeugt durch seine aufgeschlossene und lernbereite Art. Er ist gut geritten, aufmerksam und besitzt eine solide Grundausbildung. Im täglichen Umgang ist er sehr lieb, hat aber positives ,,Go,, unterm Sattel. Daher ist er nichts für den reinen Anfänger. Die Mutter selbst war in allen Sparten erfolgreich ( Springen bis L) daher denke ich das man mit ihm alles machen kann. Im Freispringen zeigt er sich auch motiviert und macht einen guten Sprung. Dieses talentierte Reitpony ist ein echtes Allround-Talent, das mit seiner charmanten Art und seinem Potenzial begeistert. Es ist eine ideale Ergänzung für jeden Ponyliebhaber, der Wert auf Qualität, Charakter und Zukunftspotenzial legt. Er befindet sich in Beritt daher steigt sein Preis bei weiterer Ausbildung. Bei uns steht er in gemischter Herde mit nachts Box und tagsüber Paddock. Röntgenbilder o.B. Liegen vor Bei Interesse freuen wir uns über Nachrichten oder per Telefon : 017645979929
This text has been translated automatically.
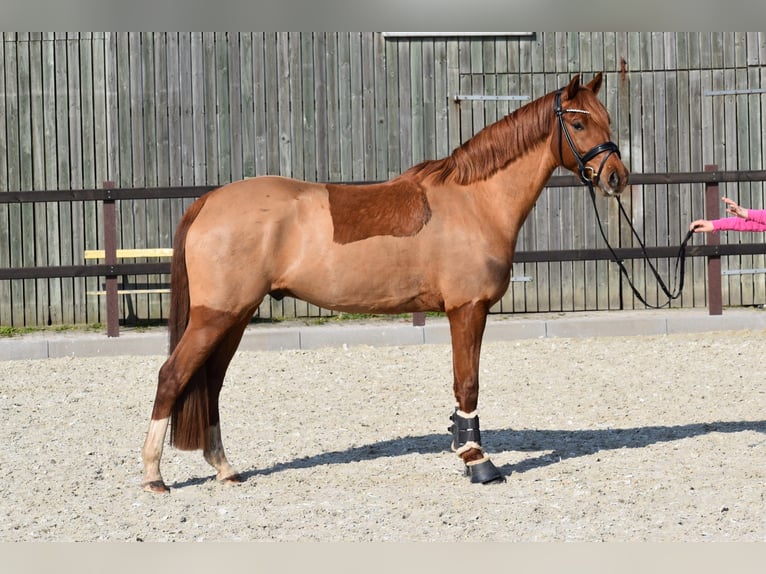
For sale is a promising German Riding Pony gelding named Dancing Fire, sired by Dance Star At and born in 2021. This charming chestnut impresses with his elegant appearance and pleasant temperament. With a height of 152 cm, he is perfectly suited for an ambitious leisure rider or an aspiring competitive rider. The gelding already shows good potential in dressage and convinces with his open and eager-to-learn nature. He is well-trained, attentive, and has a solid basic education. In daily handling, he is very sweet, but also has a positive "go" under saddle. Therefore, he is not suitable for complete beginners. His dam was successful in all disciplines (including jumping up to L), so I believe he can excel in many areas. He also shows motivation and makes good jumps in free jumping. This talented riding pony is a true all-rounder, captivating with his charming personality and potential. It is an ideal addition for any pony enthusiast who values quality, character, and future prospects. He is currently in training, so his price will increase with further education. He is kept in a mixed herd, with stabling at night and turnout during the day. X-rays are available upon request. If interested, please contact us via message or phone: 0176 45979929.
This text has been translated automatically.
Te koop staat een veelbelovende Duitse rijponyhengst genaamd Dancing Fire, afstammend van Dance Star At, geboren in 2021. Deze charmante voskleurige ruin valt op door zijn elegante uitstraling en aangenaam temperament. Met een stokmaat van 152 cm is hij perfect voor de ambitieuze recreatie-rijder of de opkomende wedstrijdruiter. De ruin toont al goede basisvaardigheden in de dressuur en overtuigt door zijn open en leergierige aard. Hij is goed bereden, attent en beschikt over een degelijke basisopleiding. In de dagelijkse omgang is hij zeer lief, maar heeft hij een positief "Go" onder het zadel. Daarom is hij niet geschikt voor de absolute beginner. De moeder was zelf succesvol in alle disciplines (springen tot L), daarom denk ik dat je met hem alles kunt doen. In het vrijspringen toont hij ook motivatie en maakt hij een goede sprong. Deze talentvolle rijpony is een echt allround talent dat met zijn charmante karakter en potentieel enthousiasmeert. Het is een ideale aanvulling voor iedere pony-liefhebber die waarde hecht aan kwaliteit, karakter en toekomstpotentieel. Hij staat momenteel onder het zadel en zijn prijs zal stijgen na verdere opleiding. Hij staat bij ons in een gemengde kudde, 's nachts in de box en overdag op de paddock. Bij interesse horen we graag van u via bericht of telefonisch: 0176-45979929.
Pedigree
DANCE STAR ATDRESSMAN LST. PR. STUTE GINADOMINGOST. PR. STUTE NADINEFOLKLOREGIANA
BELISSIMABRILLIANTBACARAPIRAN JOHN HALIFAXLAWRENCE LILACTIMECANDIDATBELLA
Contact the seller
* Required fields
Send message
Message
